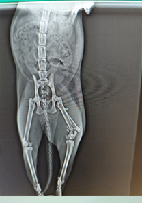
Bu rapor, çeşitli kedilerin yaşadığı ortopedik sorunlar ve uygulanan tedavi süreçlerini özetlemektedir. Her vaka, kedinin yaşadığı yaralanma, uygulanan cerrahi müdahale ve iyileşme sürecine dair ayrıntılı bilgi içermektedir. Bu bilgiler, kedilerin ameliyat öncesi ve sonrası durumlarını karşılaştırarak ve terinerlik pratiğinde izlenen tedavi yöntemlerinin etkinliğini göstermektedir.
Tayfun Bey'in Kedisi Minnoş
Tayfun Bey'in kedisi Minnoş'un femur distalinde parçalı bir kırık tespit edilmiştir. Operasyon günü itibarıyla MN - HUND&KATT kullanılmıştır. Operasyonun üçüncü gününden itibaren kırıkla ilgili ağrı semptomları tamamen kaybolmuş ve Minnoş rahatlıkla yürümeye başlamıştır. Operasyondan 10 gün sonra kaynamalar başlamış ve remodalizasyona geçmiştir.
Muhammed Bey'in Kedisi
Muhammed Bey'in kedisi, beşinci kattan düşmeye bağlı olarak tibia ve fibulasında üç parça halinde kırık tespit edilmiştir. Plak uygulaması ile fiksasyonu yapılan kedinin, Operasyonun ardından bir hafta sonra yürüme ve ağrı semptomları tamamen kaybolmuştur. Operasyon günü itibarıyla MN - HUND&KATT kullanılmıştır.
Veysel Bey'in Kedisi Paşa
Veysel Bey'in kedisi Paşa'nın tibiave fibulasının proksimalinde distal kırık tespit edilmiştir. Operasyon günü itibarıyla MN - HUND&KATT kullanılmıştır. Operasyondan sadece 14 gün sonra eksternal fiksatör takılan kediden pinler çıkarılmış ve tamamen iyileşmiştir.
Feyza Hanım'ın Kedisi
Feyza Hanım'ın kedisi, üçüncü kattan düşmeye bağlı olarak femur distalinde kırık yaşamıştır. Femoral cross pin ile fiksasyonu sağlanmış ve Operasyon günü itibarıyla MN - HUND&KATT kullanılmıştır. Operasyonun ardından yürümeye başlayan kedinin pinleri 25 gün sonra çıkarılmış ve tamamen iyileşmiştir.
Bu vakalar, cerrahi müdahale ve uygun postoperatif bakımın, ortopedik yaralanmaların iyileşmesinde ne kadar etkili olduğunu göstermektedir. Her vaka, ve terinerlik pratiğinde uygulanan tedavi protokollerinin kedilerin yaşam kalitesini nasıl iyileştirdiğine dair önemli birer örnek teşkil etmektedir.











Share: